
0.69 Acres Lot
0.69 Acres Lot
Key Details
Property Type Vacant Land
Sub Type Unimproved Land
Listing Status Active
Purchase Type For Sale
Subdivision Highpoint Add
MLS Listing ID 20868427
HOA Fees $500/ann
HOA Y/N Mandatory
Year Built 1987
Annual Tax Amount $11,617
Lot Size 0.688 Acres
Acres 0.688
Property Sub-Type Unimproved Land
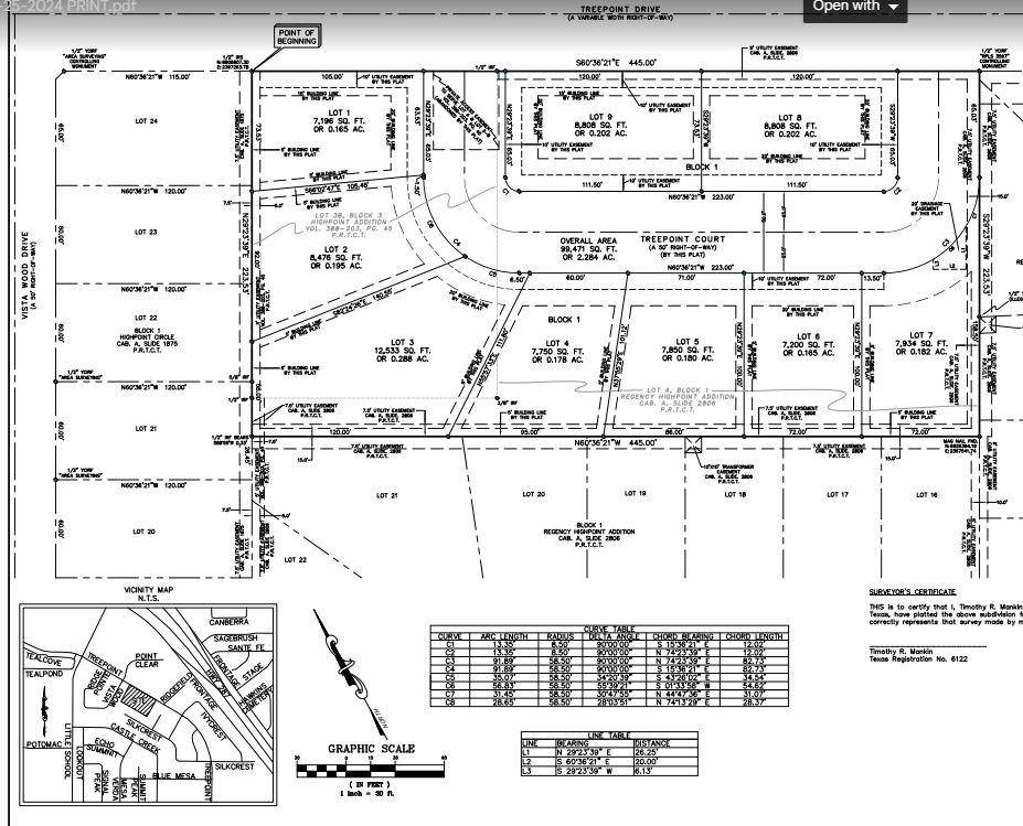
Property Description
9 Custom homes housing project ready for development. Site plan drawings and platting for 9 plats is approved and registered. EACH LOT IS MINIMUM 7200 SQ.FT . THESE ARE BIG LOTS THAT WILL PROVIDE DECENT BACKYARDS TOO.
There is an office about 3500 sq ft office and some trees on the lot next to it. Tree survey and Topo survey plus site development plans will be available after contract.
Excellent location close to everything in Arlington. Build custom homes and get premium on the location.
Get the horizontal work done and build 2 spec homes . Rest of the lots can be custom built for clients. People are willing to pay a premium if they can make the home as per their choice.
Location
State TX
County Tarrant
Zoning Residential
Direction USE GPS
Exterior
Utilities Available City Sewer, City Water
Garage No
Building
Lot Description Acreage
Schools
Elementary Schools Delaney
High Schools Kennedale
School District Kennedale Isd
Others
Restrictions Other
Acceptable Financing 1031 Exchange, Cash, Conventional
Listing Terms 1031 Exchange, Cash, Conventional
Special Listing Condition Build to Suit, Owner/ Agent
Virtual Tour https://www.propertypanorama.com/instaview/ntreis/20868427








